Intersection Upgrade Project
Share Intersection Upgrade Project on Facebook
Share Intersection Upgrade Project on Twitter
Share Intersection Upgrade Project on Linkedin
Email Intersection Upgrade Project link
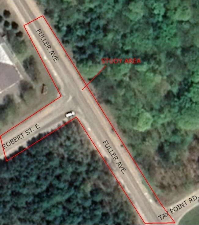
Fuller Ave & Robert St. E Intersection Upgrade Project
The Town of Penetanguishene (‘Town’) has initiated a Schedule ‘B’ Class Environmental Assessment (Class EA) to address the intersection improvements required at Fuller Avenue and Robert St. E. as recommended in the 2018 ‘1145 Fuller Avenue Traffic Impact Study’ (JD Northcote Engineering Inc.). The proposed study area is located at the intersection of Robert St. E and Fuller Ave. and extends approximately 100m in all directions (north, south, and west).
Preliminary Class EA Report:
A Preliminary Study report is completed and has identified preliminary design alternatives. The results of the preliminaryContinue reading
Page last updated: 30 Mar 2022, 09:37 AM

